GALERIJA 1, Piran (Rt Madona)
GALERIJA 2, Pula – Unije
Foto: Aleš Sulič, SUBNET DIVING, 2019-2024 (©)

GALERIJA 1 (PIRAN, RT MADONA)
FRATER


PIC



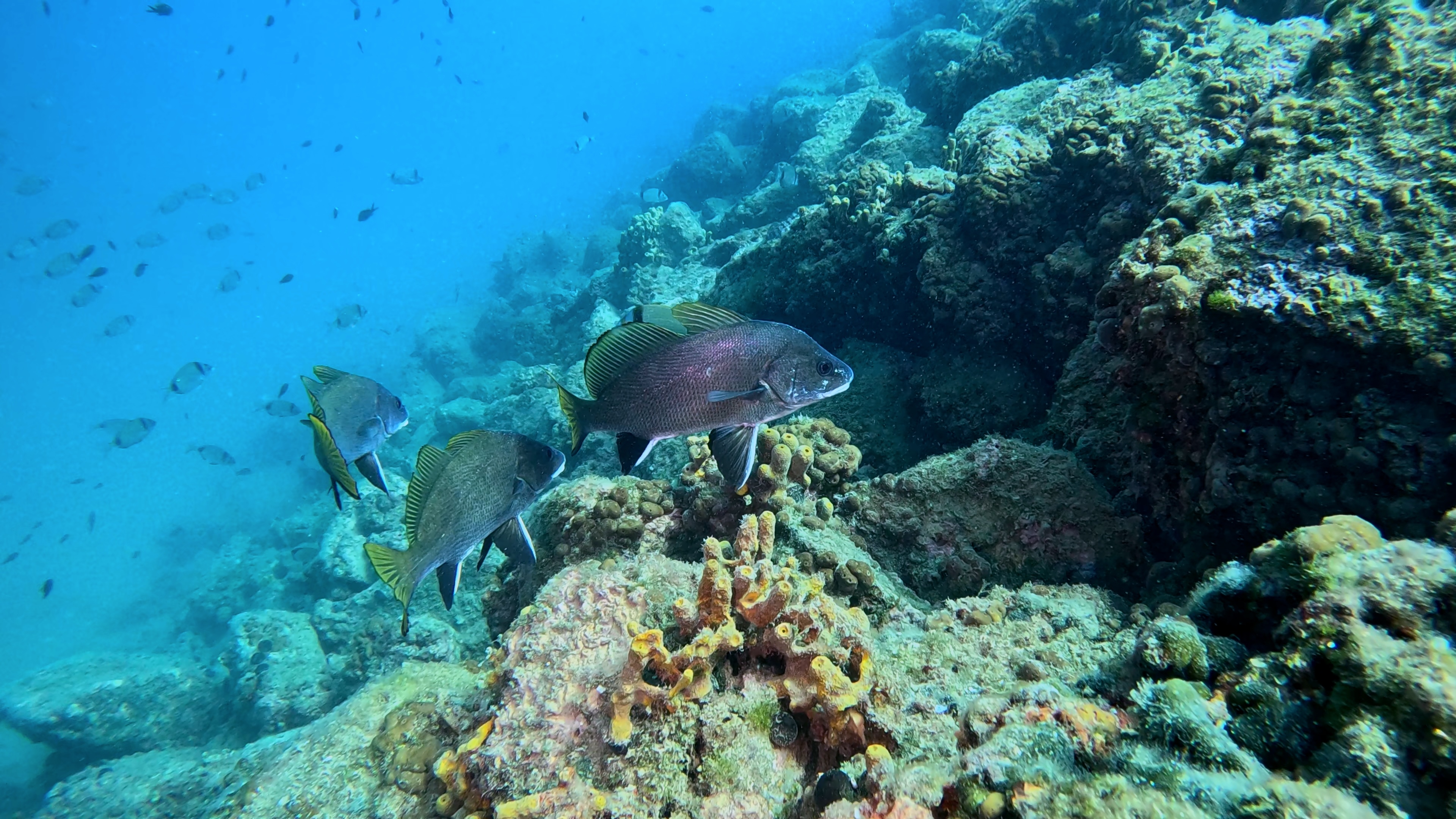
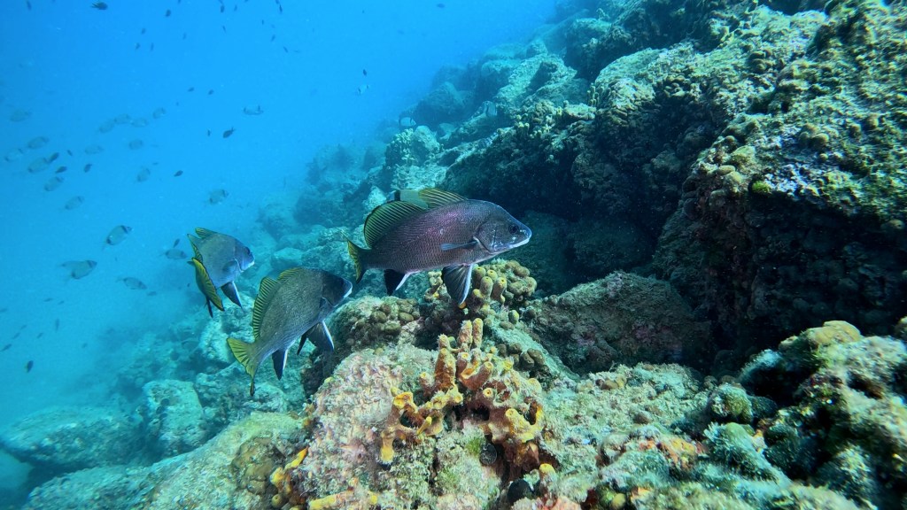
PROGAR / ŠARG


BARAKUDA


ELEKTRIČNI SKAT



MORSKI GOLOB



GIRICA

BUKVA IN ČRNIKE



RIBON


KAVAL




JASTOG






KONJIČEK



UGOR




TRILIJE


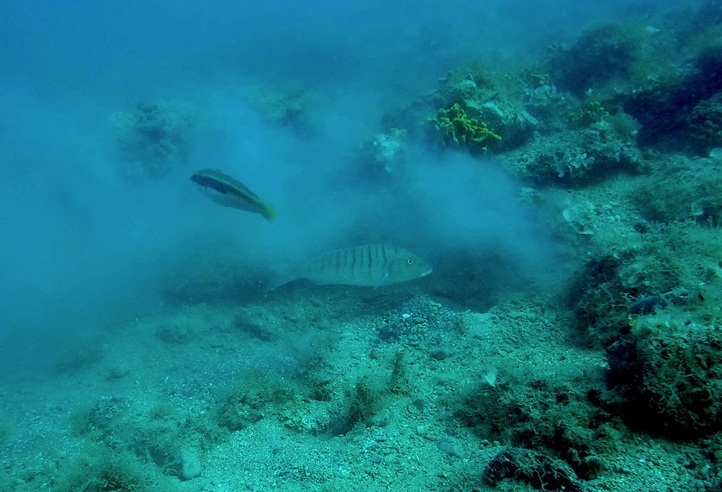
ŠKARPOČ








KRULEC



BOGOMOLJKA


CIPL


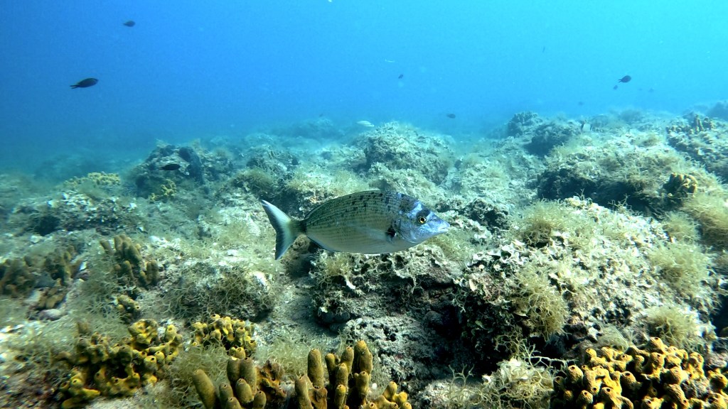
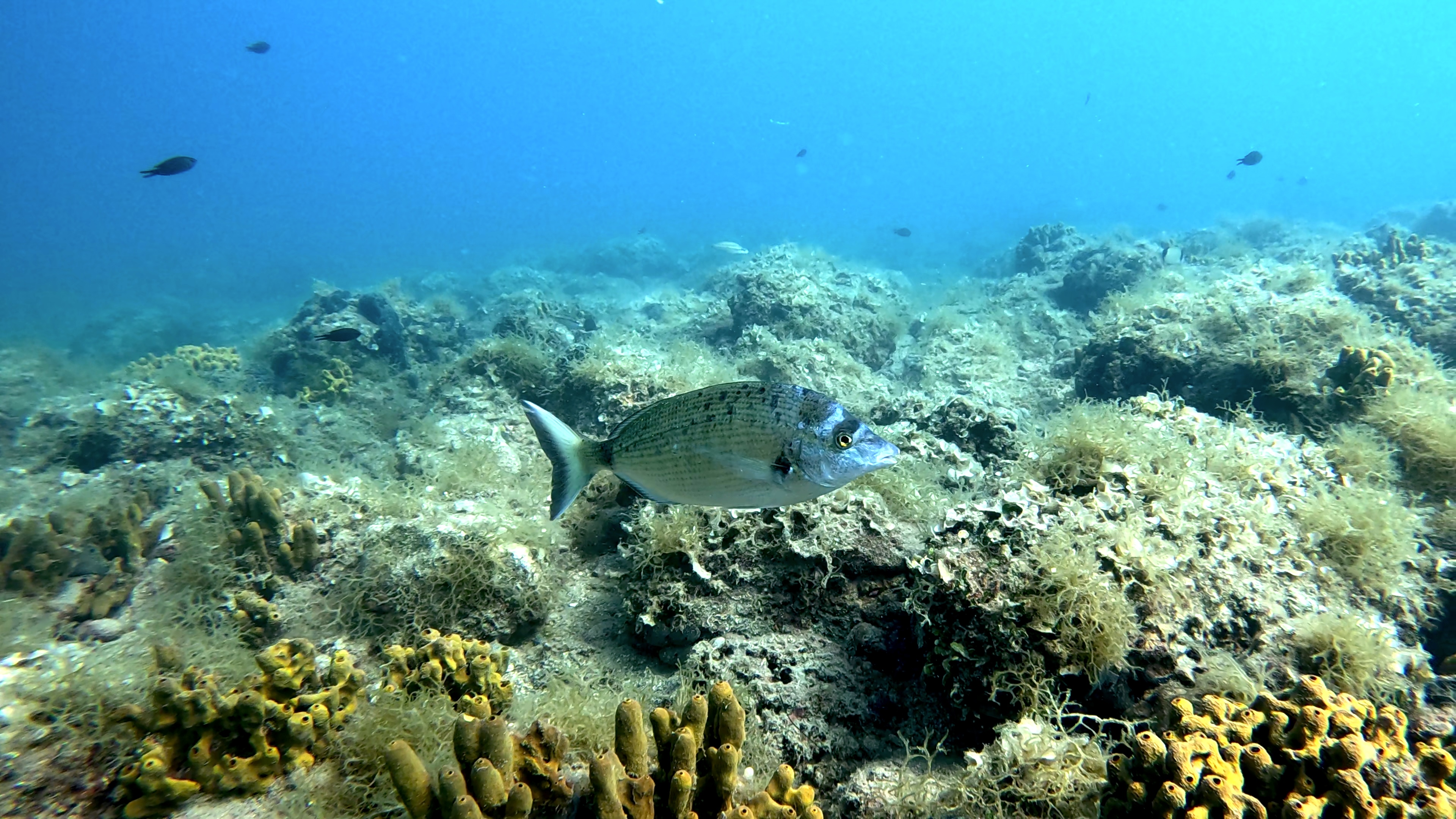
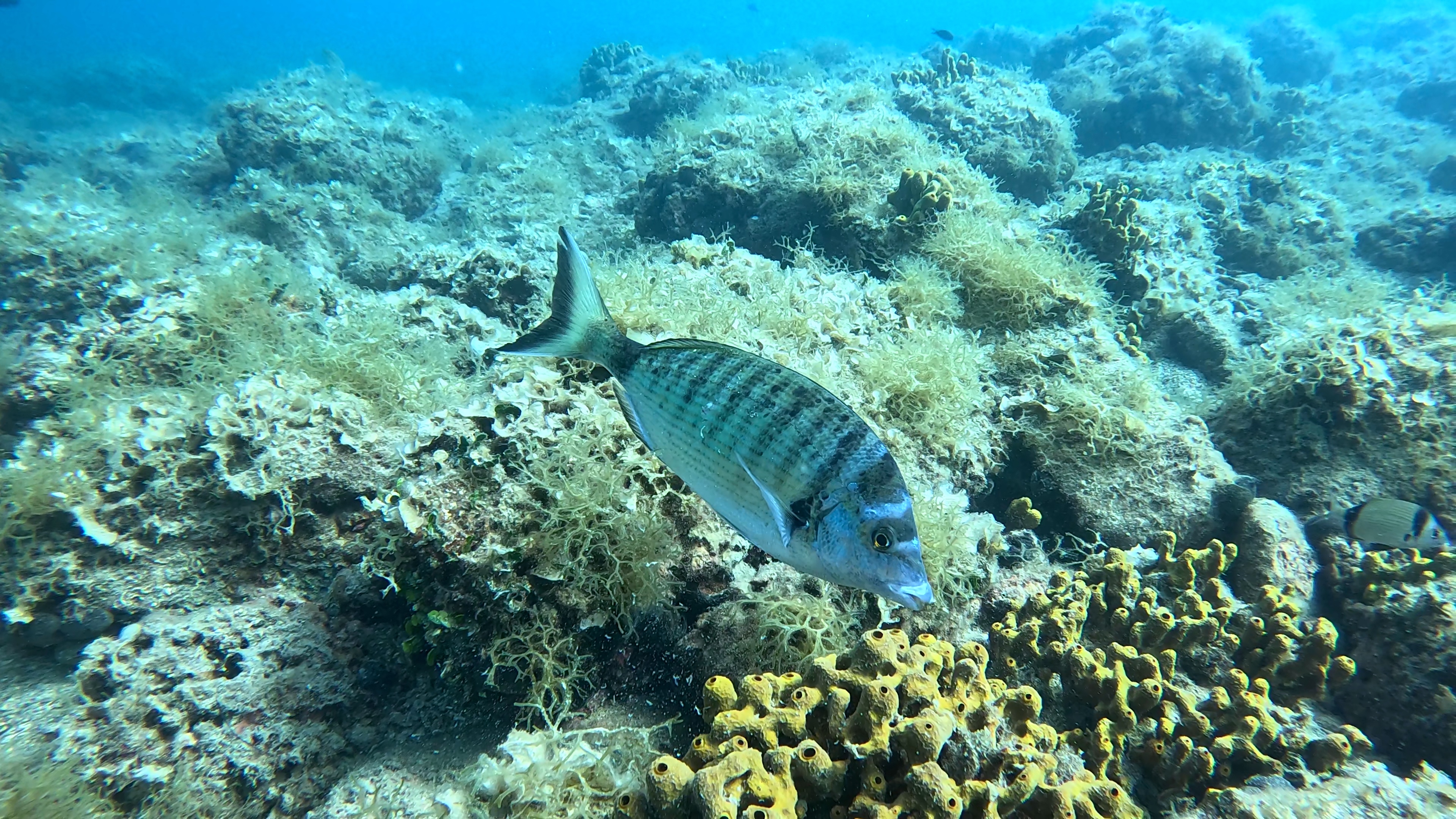
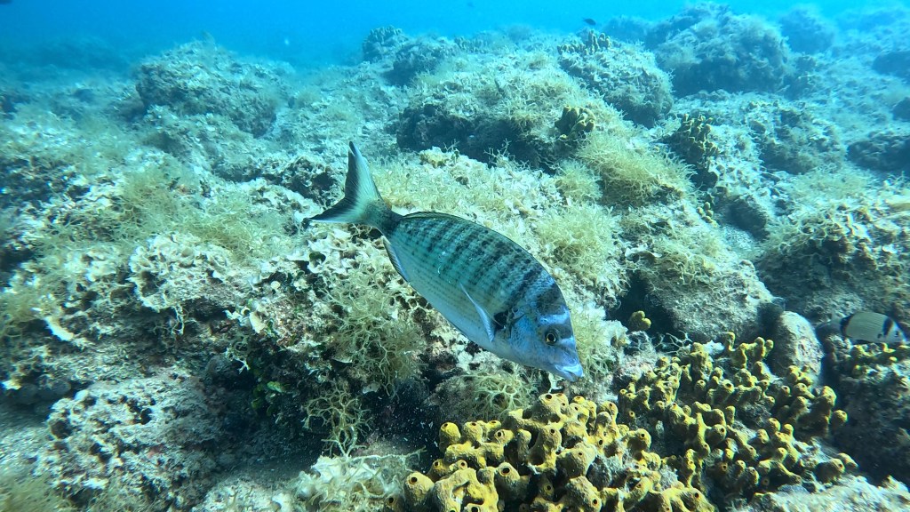
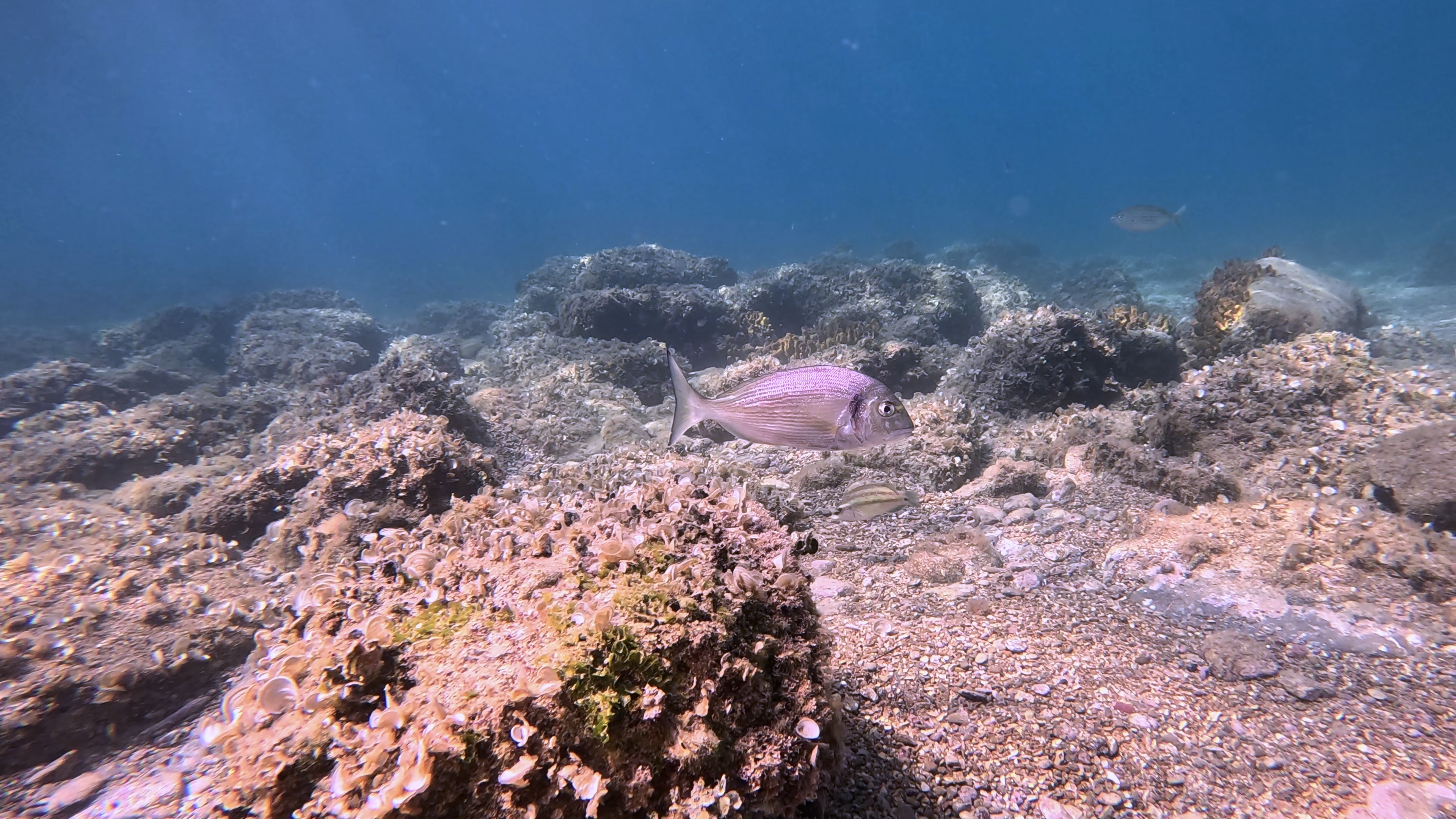
ORADA


ČRNIKA


BRANCIN

ČRNOROBI LIST

MEDITERANKA

MORSKI ZMAJ PAJEK


MORSKO ŠILO

MOŠKATNA HOBOTNICA

NAVADNA HOBOTNICA

OVČICA

RUMENI SPREHAJALČEK

ŠNJUR

SALPA



VRANA



VELIKA BABICA

VOLKEC



GALERIJA 2 (ISTRA, PULA, UNIJE)

























